https://theromileygazette.substack.com/publish/posts/published
4th January 2026
Serious traffic problems around Vale View only came to the attention of police weeks after North Reddish Primary School opened in 2011, exposing what residents now describe as fundamentally flawed and chaotic traffic planning by Stockport Council.
The school, built on former open space at Harcourt Street, was approved after a lengthy planning process that focused heavily on policy arguments over the loss of green space. Yet residents say that while thousands of words were written about playing pitches and planning designations, the practical reality of traffic, parking and road safety was badly overlooked.
Within weeks of the school opening, congestion, illegal parking and dangerous manoeuvres were already causing alarm. Greater Manchester Police raised concerns only after problems became unavoidable — a move that has fuelled anger among residents who say the risks were entirely predictable.
One Vale View resident said:
“The traffic situation was a mess from day one. Cars blocking junctions, pavements blocked, visibility gone. The shocking part is that the police only raised concerns after the school was already up and running. That tells you everything about how badly this was planned.”
Years of planning — but traffic left behind
Planning approval for the school rested on arguments that it was an “essential educational requirement”, replacing three outdated schools with a single modern building. The council justified the loss of designated local open space by promising upgraded sports facilities elsewhere and citing decades-old policy allocations for a new school.
What was missing, residents argue, was a realistic and enforceable traffic strategy.
Despite the scale of the development and extended school hours, the council’s traffic plans were vague, under-resourced and poorly communicated. Roads such as Mill Lane — never designed to handle heavy daily traffic — were left to absorb the impact with little more than signage and goodwill.
“There was no serious attempt to understand how hundreds of daily car journeys would affect narrow residential streets,” another resident said. “The council signed it off and hoped for the best.”
Police concerns came too late
The fact that police objections emerged only after the school had opened has become a central point of criticism. Residents say this demonstrates a breakdown in coordination between planning, highways and emergency services.
By the time concerns were formally acknowledged, unsafe patterns of parking and drop-offs were already entrenched. Residents report blocked access, near-misses involving children, and increased tension between neighbours and parents.
Campaigners argue that police input should have been a pre-condition of approval — not a reaction to problems once they had already occurred.
Community left to deal with the consequences
While the council has repeatedly highlighted the educational and community benefits of the school, residents say they have been left to manage the consequences of poor decision-making.
The loss of open space was presented as a necessary trade-off for progress. What was not acknowledged, locals say, was the cost to residential amenity, road safety and daily quality of life.
“This wasn’t just a minor oversight,” said one long-standing resident. “It was a systemic failure. The council pushed the development through, ignored obvious traffic risks, and then acted surprised when chaos followed.”
Calls for accountability
More than a decade after the school opened, residents are still calling for a full review of how traffic planning was handled — and why early warnings from the community were ignored.
Many believe the Vale View situation should serve as a lesson for future developments: that policy justifications and funding arguments mean little if basic safety and access are not properly planned.
As one resident put it:
“Good schools matter. But so does getting children there safely. On Vale View, that was an afterthought — and we’re still paying the price.”


Mon 30/07/2007 17:09
Dear Mrs Oliver,
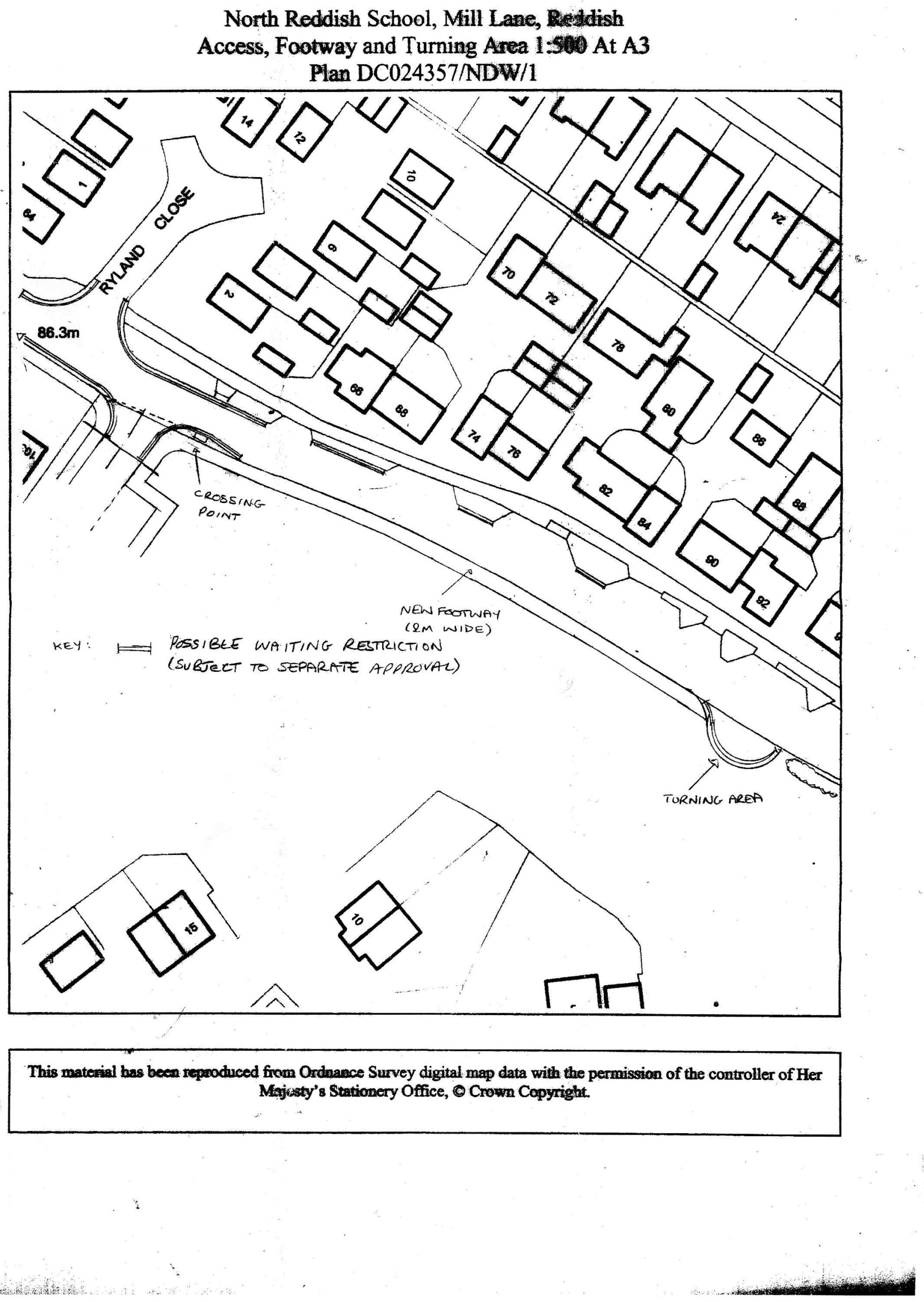
I have today received a costing for the footway on Mill Lane which will be about £25,000 – £30,000. I have investigated the status of the land and the footway can be built on land dedicated to the Council as Highway under a Section 52 Agreement dated 9 September 1976. The turning area would need to be reduced in depth to fit within this area which we can do. This will also remove the need to chop down any of the poplar trees.
Nick Whelan
Principal Engineer
Development Control
From: sheilaoliver [mailto:sheilaoliver@ntlworld.com]
Sent: 26 July 2007 20:51
To: Nick Whelan; Steve Lamb; John Schultz
Subject: Harcourt Street
Dear Mr Whelan
Having requested a meeting with you regarding concerns about traffic and the proposed school on Harcourt Street only to be told (and I paraphrase) don’t worry your little heads about this everything is robust, it is with consternation that I learn of these last minute changes. I am afraid given my dealings with dirty Stockport council I have to be suspicious regarding their last-minute nature.
Could you please give me an idea of what these new proposals are likely to cost. The price of the school has almost doubled already before this and I need to get on to the District Auditor. If you can’t tell me what they are likely to cost, I presume there is someone at the Council who can – or maybe not!
I look forward to hearing from you.
Mrs Oliver
